חדשות
הנבחרת
כלכלה
ספורט
תרבות
רכילות
בריאות
פלילים ומשפט
אוכל
תיירות
לרכישת מנוי
חדשות
מבזקים
פוליטי מדיני
צבא וביטחון
פלילים ומשפט
חדשות בארץ
חדשות בעולם
בין החדשות
חינוך
איכות הסביבה
בריאות
הנבחרת
בן כספית
מתי טוכפלד
אבי בניהו
אלון בן דוד
רון קופמן
שלמה מעוז
רון מיברג
נתן זהבי
מיקי לוין
מאיר עוזיאל
כלכלה
כלכלה בארץ
הלאונג'
עסקים בעולם
רכב
נדל"ן
צרכנות
מט"ח
ספורט
כדורגל ישראלי
כדורגל עולמי
כדורסל ישראלי
כדורסל עולמי
ענפים נוספים
תוצאות ספורט
תקצירי ספורט
רכילות
חדשות סלבס
נתפסו בעדשה
סטייל
הכי חמים
אופנה TMF
הישרדות
המירוץ למיליון ALLSTARS
האח הגדול
תרבות
טלוויזיה
מוזיקה
קולנוע
ספרות
אמנות ובמה
יהדות
לוח שנה עברי
פרשת השבוע
חגי ישראל
לוח חגים ומועדים
זמני כניסת שבת
ברכות ותפילות
אוכל
המדור של פסקל
מתכונים
ביקורת מסעדות
ביקורת אוכל
סנהדרינק
לייף סטייל
סגנון מעריב
תיירות
אופנה TMF
ד"ר מאיה רוזמן
המומחים
בריאות
העיתון הדיגיטלי
רכישת עיתון דיגיטלי
העיתונים הדיגיטליים
ארכיון
מקומונים
מקומון תל אביב
מקומון רמת גן גבעתיים
מקומון פתח תקווה
עיתון דיגיטלי המקומון
עיתון שבע
כרטיסים להופעות
הצגות
סטנד אפ
הצגות ילדים
זאפה הופעות
הופעות בתל אביב
מזג האוויר
טכנולוגיה
הורוסקופ
מעריב
>
ארכיון חדשות מהארץ והעולם
>
ספטמבר 2017
ארכיון כתבות חדשות מהארץ והעולם 2017 , חודש - ספטמבר
ספטמבר 2017
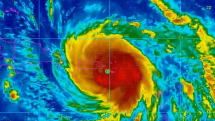
עם רוחות של 250 קמ"ש: "מריה" פגעה בפוארטו ריקו
20/09/2017
|
14:46
השאלות הקשות של אילנה ראדה למשטרה: מי הדאיג את תאיר לפני הרצח?
20/09/2017
|
13:30
טורקיה מאיימת להטיל סנקציות על הכורדים בצפון עיראק בגלל משאל העם
20/09/2017
|
12:46
ממשלת קטלוניה: "הופקעו סמכויותינו, אנחנו במצב חירום'"
20/09/2017
|
12:41
רכש נעלי בית באמזון וגילה צלבי קרס על הסוליות
20/09/2017
|
10:44
צפו: ילדים חולצו מבית ספר שקרס במקסיקו; 224 הרוגים עד כה
20/09/2017
|
10:05
ראש "הכנופיה הירושלמית" יואשם בכוונה לחסל את אחד מיריביו
20/09/2017
|
08:45
לנאום נתניהו היה אפקט משכר, מה תהיה השפעתו?
20/09/2017
|
06:17
למעלה ממאה בני אדם נהרגו ברעידת אדמה בעוצמה 7.1 במקסיקו
20/09/2017
|
02:02
סוכנויות הידיעות
רק 3 כלי ירי: מבצע החזרת נשקים במגזר הערבי הסתיים באכזבה
19/09/2017
|
23:06
הנייה: "הממשל בעזה לא מתפקד יותר, מוכנים לקבל את ממשלת רמאללה"
19/09/2017
|
19:14
טראמפ בנאום תוקפני באו"ם: "הסכם הגרעין הוא בושה לארה"ב, לא סיימנו עמו"
19/09/2017
|
17:57
52
...
18
17
16
...
1
התרעות פיקוד העורף
14.01.2026 | 08:51
X